eXp Realty - Black

Saskatoon Real Estate Jennifer Lutz

7294 results | Page 62 of 152
12 24 48
Search/Filter Properties


LOADING

For sale
$175,000
109 Charles CRESCENT, balcarres, Saskatchewan

109 Charles Crescent

Balcarres, Saskatchewan

This home is a charming solid home, located in a quiet area of town. A great family home or retired couples home. The kitchen ia a bright white kitchen with many cabinets ,large window and dining room with access to a large deck. Living room is large with lots of natural light. The main floor has three bedrooms but the 3rd is used for main floor laundry at the moment. The yard is a mature yard with a private back yard with back alley access and large garden area. This home has great curb appeal . The Buyer can have quick possession where you can move in quick making it HOME! Balcarres is 10 minutes from many lakes and golf courses, close to the city of Regina or (id:43042)

3 Bedroom 1 Bathroom 950 sqft
For sale
$30,000
412 Elder STREET, pense, Saskatchewan

412 Elder Street

Pense, Saskatchewan

Looking for the perfect lot to build your dream home in the Town of Pense? This double lot could be just the place for you! The lot is located in a new development. Has 2 sets of services to the lot - one per lot. Located only 25 minutes to Regina or Moose Jaw making Pense the perfect town to commute from. The quiet town of Pense has a grocery store, school, and a rink! (id:43042)

For sale
$345,000
132 Rock Pointe PLACE, edenwold rm no. 158, Saskatchewan

132 Rock Pointe Place

Edenwold Rm No. 158, Saskatchewan

Build your dream home on this expansive 4.61-acre lot nestled within the prestigious Rock Point Estates community. Conveniently located just minutes from Regina and just north of Pilot Butte, this property offers the perfect balance between accessibility and peace. With easy access to the amenities of Pilot Butte, White City, and Emerald Park, you can enjoy modern comforts while basking in serenity. (id:43042)

For sale
$109,000
601 2nd AVENUE, spy hill, Saskatchewan

601 2nd Avenue

Spy Hill, Saskatchewan

601 2nd Ave is a fantastic starter home in the affordable community of Spy Hill, located close to Mosaic and Nutrien potash mines. The home has been well taken care of, and major updates include shingles, on demand water heater as well as H/E furnace. 2 beds and 1 bath up, 1 bed and 1 bath down. The yard is fenced and has a brand new pre fab shed included! (id:43042)

3 Bedroom 2 Bathroom 873 sqft
For sale
$1,480,000
104 Rock Pointe CRESCENT, pilot butte, Saskatchewan

104 Rock Pointe Crescent

Pilot Butte, Saskatchewan

Meticulously planned out + built w/ extreme attention to detail, this nearly 2000 sq ft 5 bed, 3 bath bungalow was built by the current owners in 2017. Situated on 3.5 acres in the quiet acreage community of Rock Pointe Estates it is located just North of Pilot Butte + a short 15 min drive to Costco. As you pull into the driveway you will notice the manicured laneway + impressive 4 car attached garage. The garage offers direct entry to the mud room. When entering through the front door you are greeted by an open dining/kitchen area perfect for entertaining. Beyond the dining room is also a 15.5 x 15.5 screened in deck w/ natural gas hook up for a firetable. The kitchen cabinetry was custom built by Cougar. Quartz counters, a Kohler farm sink, 6 burner Jenn Air stovetop, + corner pantry w/ motion sensors are just a few of the stand out features of this chef’s kitchen. A cozy living room w/ Napoleon gas fireplace, guest bedroom + 4 pc bath complete one side of the main floor. The opposite side is home to the primary suite w/ a huge 6.5’ x 10’ walk in closet, B4 ensuite + large bedroom. The walkout basement is fully developed. You will find a space for a pool table, a wet bar, tv rec room + another Napoleon gas fireplace. There is also 3 bedrooms, a 4 pc bath, laundry + a bonus room that the current owners used as their wine making room! All utilities are owned + extremely efficient. With solar panels on the roof, the 5 year avg for power has been $60/mo. Outside you will find a detached 4 car garage used for storage + as the current workshop. Directly behind that is a seacan that stays w/ the property + garden area. The sellers have been diligent to plant new trees every year to expand the landscape. A drip irrigation system automatically waters every tree, shrub + perennial on the property. Your water is supplied by the Town of Pilot Butte + sewer is a 2-stage system w/ a septic for solids + a mound for gray water. Book a private showing today w/ your REALTOR®. (id:43042)

5 Bedroom 3 Bathroom 1907 sqft
For sale
$1,050,000
3728 Gee CRESCENT, regina, Saskatchewan

3728 Gee Crescent

Regina, Saskatchewan

Stunning Walkout home Backing Onto Green Space with Triple Garage & Legal Suite Welcome to this exceptional walkout bungalow perfectly positioned on a beautifully landscaped lot backing onto tranquil green space. Thoughtfully designed and meticulously maintained, this home offers luxury, functionality, and income potential all in one. Step into the main floor and be greeted by an open, airy layout featuring an elegant office and a versatile den with a full washroom — ideal for guests or multigenerational living. The heart of the home boasts a seamless connection to nature, with expansive windows and direct access to the amazing backyard oasis, fully landscaped for privacy and outdoor enjoyment. The triple attached garage is a true showstopper: fully finished with in-floor heating and a sleek epoxy floor — perfect for car enthusiasts or a workshop. Downstairs, the legal 2-bedroom basement suite offers a private entrance, full kitchen, and generous living space, making it ideal for rental income or extended family living. From its premium location backing onto green space to its high-end finishes and thoughtful layout, this home checks every box. Don’t miss your chance to own this rare and remarkable property. (id:43042)

5 Bedroom 4 Bathroom 2678 sqft
For sale
$399,000
123 Mountain STREET, strasbourg, Saskatchewan

123 Mountain Street

Strasbourg, Saskatchewan

Terrific business opportunity in the town of Strasbourg. (id:43042)

For sale
$329,000
Acreage 2 km from Shaunavon 10 Acres, shaunavon, Saskatchewan

Acreage 2 Km From Shaunavon 10 Acres

Shaunavon, Saskatchewan

Discover the perfect blend of rural charm and modern comfort in this 1,500 sq. ft. country home, set on 10 acres just 2 km from Shaunavon along Highway 722. Ideal for a small hobby farm or horse enthusiasts, this property offers serene living with easy access to town. The heart of the home is its inviting kitchen, featuring stainless steel appliances (dishwasher, fridge, stove, and microwave), abundant cupboard space, and a central island that makes cooking a delight. Adjacent, the bright dining room is flooded with natural light and showcases stunning countryside views. The open-concept living room creates a warm, welcoming atmosphere, enhanced by a cozy wood-burning stove that adds both ambiance and warmth. The home includes four bedrooms, with a spacious master suite offering a private three-piece bathroom and a large desk area. Two additional bedrooms and another full bathroom provide ample space for family or guests, while convenient main-floor laundry adds practicality. The basement offers endless possibilities, featuring a finished bedroom and bathroom, high ceilings, and plenty of room for further development, with direct access to an outdoor patio for added versatility. Additional features include a large garage ideal for repairs or storage, updated PVC windows, a relaxing hot tub on the deck, and a high-efficiency furnace for year-round comfort. Don’t miss this opportunity to own a tranquil retreat just minutes from town. Schedule your personal tour today (id:43042)

4 Bedroom 3 Bathroom 1512 sqft
For sale
$119,000
Waterfront Lot at Sunridge Resort, webb rm no. 138, Saskatchewan

Waterfront Lot At Sunridge Resort

Webb Rm No. 138, Saskatchewan

Lakefront Lot – Sunridge Resort, SK Here’s your chance to own a 50’ x 110’ lakefront lot at Sunridge Resort – one of Saskatchewan’s best-kept secrets! This is freehold land, so you fully own the property with no lease hassles. The lot is already serviced and ready to build, featuring an ICF basement foundation, a drilled well, power, and natural gas service. Whether you’re planning a dream cabin or a peaceful getaway spot, this lot gives you a major head start. Enjoy the quiet surroundings, breathtaking lake views, and world-class fishing just steps away. Sunridge is a welcoming resort community, perfect for weekend escapes or full-on lake living. Opportunities like this don’t come up often — snag your spot at the lake today! (id:43042)

For sale
$30,000
22 Herbert STREET, caron rm no. 162, Saskatchewan

22 Herbert Street

Caron Rm No. 162, Saskatchewan

Are you looking for an excellent lot to build on in the quiet town of Caron? This large 55' x 110' lot situated right on the edge of town backing the prairies gives you great views each morning! Let your dreams run wild with all the options for building your dream home! Caron is located just 15 minutes west of Moose Jaw on the #1 Highway. You are sure to love the slower pace of life just minutes from the city! Reach out today with any questions or to book a viewing! (id:43042)

For sale
$249,000
Gryba Quarter, preeceville rm no. 334, Saskatchewan

Gryba Quarter

Preeceville Rm No. 334, Saskatchewan

This is a pristinely, unique, rare wilderness property, especially due to its location being less than 1 mile from the provincial Porcupine Forest. This land has a multitude of uses in particular. It is a safe and ideal. SHFT property. This property is also a safe distance from any potential civilian and military targets in the event of international armed conflict. Access to the property is by Bush Trail Road from the north and south this is exactly how and why this property remains protected and pristine as a result one can then appreciate an excuse the absence of a paved, public urban mall like access this property reflects the pristine features of a frontier property that will only appreciate and value. The price reflect today’s true price and not that previous years as well as being approximately a third of the price of average Greenland Tangible hard asset is opposed to a fiat or digital asset which are backed by nothing. The property is priced commensurate with that of the ongoing asking prices of an onset replacement cost of a comparable hard asset being non-fiat or non-digital. (id:43042)

For sale
$999,000
436 Augusta BOULEVARD, warman, Saskatchewan

436 Augusta Boulevard

Warman, Saskatchewan

Welcome to 436 Augusta Blvd, Warman! this beautiful Country Modern home will offer you comfort and luxury. The home is open concept with a grand kitchen that has a large island, double fridge, and a walk-in pantry. The great room has a gas fireplace with shelves on either side. away from the main area is the den and a 2-pc bathroom. Laundry is conveniently located in the mudroom! Heading upstairs is a grand primary bedroom with a vaulted ceiling, walk-in closet, and a large 5-pc Ensuite. there are 3 more large bedrooms upstairs with a jack and Jill 5-pc bathroom. the basement has a large family room, bedroom, large office, and a 4-pc bath. This home is full of craftsmanship to help make your everyday tasks easier. Contact your favourite realtor for more information! (id:43042)

5 Bedroom 3 Bathroom 2390 sqft
For sale
$139,000
217 1st AVENUE W, kelvington, Saskatchewan

217 1st Avenue W

Kelvington, Saskatchewan

Welcome to Takeout On First in the center of Kelvington, just off highway 38, across from the highschool and next to the grocery store , location couldn't be better! This little takeout is being sold as a true Turnkey business. Everything you see in the photos will be left behind. Currently they sell Pizza, burgers, Cheesedogs, mini donuts and in-store made Ice cream with hand made waffle cones as and more. Recently added SOFT ICE CREAM in THREE Flavors and donuts. This business has been seeing an increase in sales month to month. Sellers are forced to sell due to health reasons. Kelvington is located 30 minutes south of Greenwater Provincial Park, East of Saskatoon 250kms and west of Yorkton 150 kms. This area is know for its snowmobile trails, hunting, fishing and a very active community with a 9 hole Grass green golf course, swimming pool, bowling alley, Hospital ,and Hockey arena to name a few highlights. A complete information package available upon request. (id:43042)

748 sqft
For sale
$250,000
322 Forget STREET, foam lake, Saskatchewan

322 Forget Street

Foam Lake, Saskatchewan

322 Forget St is a nice 5 bedroom bungalow with a full finished basement. The one car garage leads either to the porch or a back covered patio area. The main floor has a living room leading to a dining area and kitchen with updated flooring. The main floor also has 3 bedrooms a full bath featuring a walk in tub (accessible) and an ensuite off the master. The basement has two large connected family room areas 2 bedrooms, utility room/laundry, and 3-piece bath. This is a nice house with nice curb appeal with vinyl and imitation rock. This is a must see place. (id:43042)

5 Bedroom 3 Bathroom 1144 sqft
For sale
$219,000
101 114 Third AVENUE E, rosetown, Saskatchewan

101 114 Third Avenue E

Rosetown, Saskatchewan

Welcome to your next home! Bright and neutral, impeccably cared for. Just steps from the grocery store and many other downtown amenities. This beautiful condo has had a thoughtful upgrade to the kitchen, expanding its functionality with an additional built-in counter and cabinets. Condo has a spacious primary bedroom featuring a 3 piece en-suite. Second bedroom features a large corner closet, and a multi-funtioning murphy bed that is easy to use and provides extra storage. When not in use this room is easily utilized for hobbies or other purposes. The office/den opens onto a delightful deck overlooking a peaceful and pleasant neighbourhood. To add to your comfort and convenience, this condo has laundry in unit, a wall unit window a/c, and has underground parking. Enjoy small town living with convenience and functionality. Move in Ready! (id:43042)

2 Bedroom 2 Bathroom 1240 sqft
For sale
$365,000
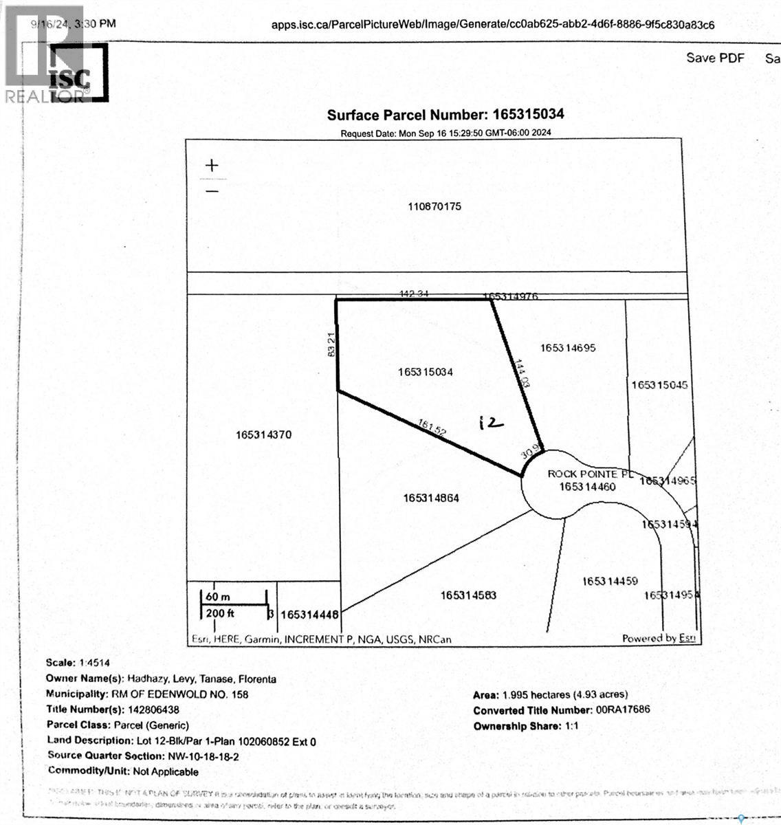
133 Rock Pointe PLACE, edenwold rm no. 158, Saskatchewan

133 Rock Pointe Place

Edenwold Rm No. 158, Saskatchewan

Build your dream home on this expansive 4.93-acre lot nestled within the prestigious Rock Point Estates community. Conveniently located just minutes from Regina and just north of Pilot Butte, this property offers the perfect balance between accessibility and peace. With easy access to the amenities of Pilot Butte, White City, and Emerald Park, you can enjoy modern comforts while basking in serenity. (id:43042)

For sale
$325,000
970 Central AVENUE N, prince albert, Saskatchewan

970 Central Avenue N

Prince Albert, Saskatchewan

The former Pines Drive In location is listed for sale. This one of a kind M1 “Heavy Industrial” zoned land in the City of Prince Albert’s North Industrial Park presents value and opportunity for the future owner. The 11.25 acre site is 5 minutes from the City of Prince Albert and situated north of the Diefenbaker Bridge offers unrestricted access to Northern Saskatchewan and Alberta perfectly positioned to service the growing natural resource development in the northerly halves of both provinces. This slightly rolling site is located at the northeast corner of Central Avenue North and Pine Street. The North Industrial Park services include electricity, natural gas, water, telephone and internet. The City of Prince Albert police and fire protection are available to the site. All structures have been removed. The owner has a current clean Phase 2 Environmental Assessment Study. Opportunities such as this in the current market are extremely rare. Don’t let this one pass by. (id:43042)

For sale
$1,299,900
113 Rock Pointe CRESCENT, pilot butte, Saskatchewan

113 Rock Pointe Crescent

Pilot Butte, Saskatchewan

Welcome to Rock Pointe Estates! 4.89 beautifully manicured acres offer's unmatched privacy & peaceful living. Bordering Boggy Creek Reserve, the property benefits fr/a spacious, open feel & captivating views. This executive walkout bungalow is flooded w/natural light thanks to its expansive windows, showcasing breathtaking prairie sunsets! W/premium finishes throughout, the home offers a spacious footprint designed for comfort & elegance. The primary suite is a luxurious retreat, complete w/2 walk-in closets, jetted tub, custom shower, & serene views of the landscape. A 2nd main floor bedroom doubles perfectly as an inspiring home office w/a view. The kitchen boasts stainless steel appliances, gas range, soft-close drawers, touch tap & French doors that open onto a large deck overlooking the well-established shelter belt. A generous mudroom connects to a 2 pc powder room, laundry area, & a walk-through pantry w/direct access to the kitchen—designed w/convenience in mind. No detail was overlooked, w/2 fireplaces in both living spaces, gleaming hardwood floors, rich tile work, & a built-in surround sound speaker system that extends seamlessly outdoors. A unique loft space above offers flexibility. The walkout basement offers even more living space, including a large family room, wet bar w/wine room, & up to 3 additional bedrooms or 2 bedrooms & a study. Thanks to oversized windows & direct yard access, the lower level feels bright & welcoming. The covered patio is also wired for a hot tub, adding to your future plans for outdoor relaxation. Outside, the property continues to impress w/a 3-car heated & insulated garage, extensive gravel access perfect for future development/storage, & a backyard oasis w/mature trees, fruit trees, perennials, garden, & sprawling lawn. Connected to both public water & a private well, irrigation & outdoor care are made simple. Offering tranquil rural living with quick access to the city, this estate must be seen to be fully appreciated! (id:43042)

5 Bedroom 3 Bathroom 2751 sqft
For lease
$15 / ft2
East part 310 - 316 Saskatchewan DRIVE E, melfort, Saskatchewan

East Part 310 - 316 Saskatchewan Drive E

Melfort, Saskatchewan

Available for LEASE, this is one of the most visible locations for starting your business or moving it with the advantage of the frontage of the Saskatchewan Drive business loop through Melfort. Approximately 2831 sq ft of the building for lease, plus use of the shared parking lot adjacent. The building has excellent window glass for display and effective lighting in the building, wheelchair accessibility. The space is currently unspoiled and ready for development. The landlord will assist with a long term tenancy agreement in place (to be negotiated). Rate is $15/sq ft of building plus occupancy costs of $4.29/sq ft. The occupancy cost is forecast and reconciled early in the following year for adjustment if required. Tenant pays insurance and utilities. Ask for a viewing of the building and see if this is the best fit for you! (id:43042)

2810 sqft
For sale
$35,000
303 1st AVENUE W, climax, Saskatchewan

303 1st Avenue W

Climax, Saskatchewan

Fascinating property available in the community of Climax. This distinctive property has an interesting past and a bright future. Formerly the RCMP Office for the community, this building has been converted to living space. Originally designed as a relocatable office, the building is unique as individual prebuilt pods. The entryway with its distinctive “bubble window” adds a creative style and opens to the large living room. A private bedroom, with large windows is attached at the back of this space. A kitchen was made up at the front of the building and a large 3pc bath and laundry room with storage, follows down the hall. There are two former jail cells that have been born again into two bedrooms, and the office space is set with a built in desk. The attached single garage has a large storage room attached (10’x12’10”). The building is set up on a modest crawl space and heated with two separate natural gas furnaces. The space is designed to have a natural gas hot water heater (no hot water heater is currently working) and has central air plumbed to the furnace. The location of the property is high profile directly on Highway #13 as you come into town and consists of 0.48 acres of land. Designed with paved driveways there is a large, paved parking pad with electrical outlets for winter parking (camper trailer not included) . The central air conditioning unit is encased in a chain-link fence that would make a dandy dog run. Building is being sold “AS IS, WHERE IS” including contents. (id:43042)

2 Bedroom 1 Bathroom 1368 sqft
For sale
$349,000
0 4th AVENUE, bone creek rm no. 108, Saskatchewan

0 4th Avenue

Bone Creek Rm No. 108, Saskatchewan

Business Opportunity Alert or a Spacious Residential Property Near Reid Lake! Looking for a unique investment opportunity or a place to call home? This multi-use property offers endless possibilities! Listed well below replacement cost. Whether you’re seeking to run a successful business or enjoy the comfort of a large family retreat, this property is a must-see. Highlights, Features & Amenities: Constructed in 2017, this property comes equipped with all the tools and equipment needed for a successful business or comfortable family living. Retail space includes a front entry retail area with a fridge, freezer, counter & supplies. Current inventory(excluding guns, ammo, knives & axes) is included in the purchase. Ice machine, all furniture and equipment, retail fridges, and freezers included. Tavern & Dining: A fully equipped tavern with seating for 27, a kitchen, spacious bathrooms, & an additional patio for outdoor dining. New owners would have to reapply for the tavern permit and patio endorsement. Utility & Efficiency: Features 2 hot water on-demand tanks, HE furnaces, 2 AC units(one for top floor and 2nd for main floor) & central vac. The building is on town water, natural gas and septic tank. 2nd Level: Featuring a spacious 4,600 sq/ft living area/lodge with contemporary finishes, a large commercial kitchen, dining and living areas with a flatscreen TV, 6 bedrooms(each with a bar fridge, flatscreen TV and closet), and 2 full bathrooms. Included Furnishings: all guest accommodation furniture and furnishings are included in the price. Ample outdoor space includes a 100x120 lot with RV electrical hookups, space for boats, watercraft, and camping equipment. Income/expense spreadsheet available upon request. Don’t miss this incredible opportunity! Whether for business or personal use, this property offers unmatched potential, what ever your needs. Call or text today for more info or to schedule your private showing. (id:43042)

2304 sqft
For sale
$349,000
0 4th STREET, bone creek rm no. 108, Saskatchewan

0 4th Street

Bone Creek Rm No. 108, Saskatchewan

Business Opportunity Alert or a Spacious Residential Property Near Reid Lake! Looking for a unique investment opportunity or a place to call home? This multi-use property offers endless possibilities! Listed well below replacement cost. Whether you’re seeking to run a successful business or enjoy the comfort of a large family retreat, this property is a must-see. Highlights, Features & Amenities: Constructed in 2017, this property comes equipped with all the tools and equipment needed for a successful business or comfortable family living. Retail space includes a front entry retail area with a fridge, freezer, counter & supplies. Current inventory(excluding guns, ammo, knives & axes) is included in the purchase. Ice machine, all furniture and equipment, retail fridges, and freezers included. Tavern & Dining: A fully equipped tavern with seating for 27, a kitchen, spacious bathrooms, & an additional patio for outdoor dining. New owners would have to reapply for the tavern permit and patio endorsement. Utility & Efficiency: Features 2 hot water on-demand tanks, HE furnaces, 2 AC units(one for top floor and 2nd for main floor) & central vac. The building is on town water, natural gas and septic tank. 2nd Level: Featuring a spacious 4,600 sq/ft living area/lodge with contemporary finishes, a large commercial kitchen, dining and living areas with a flatscreen TV, 6 bedrooms(each with a bar fridge, flatscreen TV and closet), and 2 full bathrooms. Included Furnishings: all guest accommodation furniture and furnishings are included in the price. Ample outdoor space includes a 100x120 lot with RV electrical hookups, space for boats, watercraft, and camping equipment. Income/expense spreadsheet available upon request. Don’t miss this incredible opportunity! Whether for business or personal use, this property offers unmatched potential, what ever your needs. Call or text today for more info or to schedule your private showing. (id:43042)

6 Bedroom 2 Bathroom 2304 sqft
For sale
$265,000
108 Main STREET W, dorintosh, Saskatchewan

108 Main Street W

Dorintosh, Saskatchewan

Amazing revenue property opportunity! Seller is motivated and will consider any and all offers! This 3 unit triplex is spacious and a must see. One side has original hardwood flooring and large bright rooms. With over 1700 Sq ft on 2 levels; 4 bedrooms on the second level and a full 4 pc bathroom. Main level has a large entrance, laundry/bathroom, kitchen, separate dining room and a generous living room. The 2 bedroom basement suite is over 800 sq ft giving you additional revenue income. The south side of building is a mirror floor plan with the exception of the basement suite and a few cosmetic updates such as flooring. For more information on this great opportunity don’t hesitate to call. (id:43042)

4 Bedroom 2 Bathroom 3484 sqft
For sale
$599,000
Dunbar Hawke, preeceville rm no. 334, Saskatchewan

Dunbar Hawke

Preeceville Rm No. 334, Saskatchewan

This 160-acre property has open fields and bush, offering space and privacy. With nearly 2,400 sq. ft. of living space this home has 4 bedrooms and 3 bathrooms, including a principal ensuite with a walk-in shower and double sinks in the vanity. The main floor has new paint, trim, flooring, kitchen and bathroom cabinetry, quartz countertops, and updated bathrooms. The basement, renovated less than five years ago, includes new flooring, paint, trim, a bathroom, and a large storage room with built-in shelves. The lower level has two bedrooms, a craft room, a bathroom, and storage, plus a safe for valuables or firearms. Outside, the property has a 32x40 shop, built in 2017, with three sliding doors for easy access. A powered gazebo with a concrete floor and solid doors serves as storage in winter and a bug-free sitting area in summer. An attached heated garage adds convenience. Home has central air conditioning and a cummins back up power generator always ready to go!! The property is ready for new owners. Call today for more information and to schedule a viewing. (id:43042)

4 Bedroom 3 Bathroom 1280 sqft
For sale
$1,025,000
331 Woolf BAY, saskatoon, Saskatchewan

331 Woolf Bay

Saskatoon, Saskatchewan

Large executive style fully developed home with views of park in Aspen Ridge. Walking up to this home you will notice the triple driveway and front landscaping to be included. Amazing bright and open two storey entrance greets you as you enter the home. Beautiful vinyl plank flooring throughout the open concept kitchen, living room with fireplace and dining room. Dream kitchen with plenty of cabinets, quartz countertops, built-in wall oven and microwave, range hood fan, and large side by side fridge / freezer. All kitchen appliances are included. The dining room leads to the deck! Open staircase leads to the second floor which includes 3 bedrooms, 4 piece bathroom, laundry room, and large bonus room. The vinyl plank continues through all bedrooms and bonus room here as well. Primary bedrooms feature a gorgeous en suite, with dual sinks, soaker tub and walk in tiled shower. Dream closet with plenty of built in shelving and storage. Fully developed basement, large family room, 4th bedroom, 4 piece bathroom and bar! This home comes complete with a 4 car attached garage and central air! Ready for immediate possession! (id:43042)

4 Bedroom 4 Bathroom 2535 sqft
For sale
$250,000
724 Elm CRESCENT, weyburn, Saskatchewan

724 Elm Crescent

Weyburn, Saskatchewan

724 Elm Crescent is a charming 1960s bungalow nestled on a tree-lined street in one of Weyburn’s most desirable neighborhoods. With 912 sq ft of thoughtfully designed living space, this home offers timeless character, practical features, and a location that puts you close to everything. The layout is efficient and inviting, ideal for first-time buyers, downsizers, or anyone looking for a manageable home with big potential. The home features several updated PVC windows, architectural shingles and durable stucco siding. A standout feature is the attached garage with a built-in workshop which is perfect for hobbyists, DIYers, or additional storage needs. Outside, the beautiful fenced backyard offers a space perfect for relaxing, entertaining, or gardening, complete with mature trees and space to enjoy the outdoors. Located within walking distance to multiple schools, the community swimming pool, and other local amenities, this property offers the convenience of central living in a peaceful, established setting. Whether you're ready to move in or want to put your personal touch on a classic home, this bungalow is full of charm, value, and opportunity. Call now to book a showing. (id:43042)

3 Bedroom 2 Bathroom 912 sqft
For sale
$1,100,000
Paslawski Half Tyvan, francis rm no. 127, Saskatchewan

Paslawski Half Tyvan

Francis Rm No. 127, Saskatchewan

Here is 2 quarters of good farm land just east of Tyvan Sask. Seeded to Alfalfa grass 3 years ago, this can be converted back to grainland and would qualify for organic production if desired. Land is mostly open, some bush on it can be clears. It touches 3 quarters of grainland currently for sale by tender, so possible to put together a package of 5 quarters open good grainland. Give us a call for details. (id:43042)

For sale
$999,999
100 Mihr WAY, mckillop rm no. 220, Saskatchewan

100 Mihr Way

Mckillop Rm No. 220, Saskatchewan

Discover this stunning, rare, turnkey waterfront property just 35 minutes from Regina, situated on 1.19 acres with a 2-tiered semi-private sandy beach—ideal for a peaceful retreat or an income-generating investment. This Mixed use property is Located on beautiful Last Mountain Lake, this property currently operates as a revenue-producing rental with two fully furnished units and a large common area connecting the suites. Each unit rents for $295 per night With wheelchair accessibility this sets this property apart from all others. The spacious basement level is ready for your personal touch—whether you want to add two more rental units, develop it into a full-time residence, or create a 4-season cottage; blueprints for 2 bedroom and a 1 bedroom units available. Energy-efficient features include in-floor heating with a glycol system powered by roof-mounted heat recovery panels that utilize solar energy to help reduce costs. The existing air exchanger system provides central air conditioning, ensuring year-round comfort. Outdoor living spaces are enhanced by a large wrap-around deck with two natural gas BBQs and a gas fireplace , perfect for entertaining in the common area as well as washer and dryer up and down. Future development potential is significant; completing the planned renovations could increase monthly income to approximately $295 for the two-bedroom west unit and $265 for the one-bedroom east unit. The close proximity to Regina Beach offers all amenities. Rowan’s Ravine Provincial Park is only a 25 minute drive, while the charming town of Silton is just 9 minutes away, 9 hole Golf course 25 minutes This unique property combines natural beauty, investment potential, and endless outdoor activities and the Boat launch is conveniently located right out front! This property has a central sewer system with RO water. No need to haul water or worry about scheduling pump outs here! Busses conveniently pick up the kids and take them to Bulyea or Strasbourg school (id:43042)

2 Bedroom 2 Bathroom 3331 sqft
For sale
$349,900
Perogy Acres, rosthern rm no. 403, Saskatchewan

Perogy Acres

Rosthern Rm No. 403, Saskatchewan

PEROGY ACRES - pavement to your door to this 'cozy' 3.62 acre site just 20 minutes of Saskatoon off #11 hwy at Gruenthal. 1 +2 bed home with many upgrades including windows, new toilet, sewer pumpout, septic tank, hot water tank, well pump, water hydrant and underground power from pole to house, garage with built-in cabinets, Garage/shop, 32' x 38' with 10' x 10' door with opener, concrete floor, power, built-in shelves & work bench. gazebo a & summer kitchen. Wrap around oversized 2 level deck, fully fenced (goats), insulated & heated summer kitchen; barn - 40 30', 8 ft ceiling, 8' sliding, tack room, can accommodate 10 horses; Shed; Western gazebo with power; outhouse like no other with power, play house for kids. This beautiful family acreage is ready to be enjoyed! (id:43042)

3 Bedroom 1 Bathroom 830 sqft
For sale
$289,000
711 Central AVENUE S, swift current, Saskatchewan

711 Central Avenue S

Swift Current, Saskatchewan

Open the door to a beautiful vaulted ceiling! cozy up to a gas fireplace and enjoy the large master bedroom (could be turned back into 2 bedrooms) with deck access! This home is perfect for the family as it is walking distance to the Fairview rinks and coop grocery store. The L-shaped basement has room for entertaining and an extra den area. The possibilities are endless and it's move in ready! (id:43042)

3 Bedroom 2 Bathroom 1254 sqft
For sale
$219,900
110 F AVENUE S, saskatoon, Saskatchewan

110 F Avenue S

Saskatoon, Saskatchewan

This charming bungalow is move in ready and located just off of 22nd Street W. The location is unbeatable with easy access to the many local stores, restaurants, parks, cafes and schools close by. Just minutes from the vibrant downtown shopping district, Riversdale Pool nestled in Victoria Park and the many beautiful walking/biking paths along the scenic South Saskatchewan River, offering endless opportunities for recreation and relaxation. Whether you're ready to own your first home or looking for a solid investment property, this charming home has everything you need! Upon entering the foyer, you will notice the warmth of the space with the large brightly lit living/dining room featuring the newly added ceiling lights and chair rail mouldings that add a touch of character and charm. The home has been recently painted throughout and features 3 good sized bedrooms on the main floor along with a 4-piece bath. The modern kitchen is a good size and features white cabinets with a beautiful quartz countertop! Downstairs you will enjoy the use of 2 additional bedrooms, a 4-piece bath, 2 storage rooms as well as the added washer and dryer. The fenced backyard has potential for a future garage, garden or patio area – endless possibilities! Don’t miss viewing this fantastic home – call today to schedule a showing! (id:43042)

5 Bedroom 2 Bathroom 830 sqft
For sale
$485,000
Garrick Log Home Acreage, torch river rm no. 488, Saskatchewan

Garrick Log Home Acreage

Torch River Rm No. 488, Saskatchewan

This immaculate 1458 sq ft log home has undergone major upgrades and is ready for the new owner! New kitchen, doors and windows, flooring and much more. As you come into the yard, the evergreens welcome you into this well maintained acreage on 10 acres just north of Garrick. There is a beautiful kitchen with the kitchen island, vaulted ceiling, large living room windows to watch the wildlife, and a wood fireplace to cozy up in the winter. There are 3 bedrooms on the main floor and 1 downstairs with the potential to develop another bedroom. Basement has been partially finished. Basement rooms are listed based on framing. You have an opportunity to finish the downstairs to your liking. The water treatment system has been upgraded. As you go outside you will find the relaxing deck with the patio area, garden plot, a heated 32x32’ shop/garage with an overhead door, a heated 32x40' quonset with 16x24' shop, and the coverall. House and garage have RV plugins, and the there is a setup to feed the house from the generator. This property is only 15km to Choiceland. North-Est Satkatchewan is known for great fishing, hunting and the great outdoors. If you have been looking for a log house, this might be an opportunity for you! Make this your new home! (id:43042)

4 Bedroom 2 Bathroom 1458 sqft
For sale
$429,900
Rudy Acreage, nipawin rm no. 487, Saskatchewan

Rudy Acreage

Nipawin Rm No. 487, Saskatchewan

This immaculate 2176 sq ft home has undergone extensive renovations with an addition in 2011 and features a beautiful open concept design with large windows and a loft. Great entry space. Large recreation area flows into the kitchen/dining and another living room. Laundry on the main floor, an office, 2 bedrooms up and 2 down. Furnishings negotiable. Outside you will find a double garage, shop, Quonset and several other outbuildings. There are wheel chair accessible ramps on both sides of the house. There is covered deck and the garden area. Property is on 13 acres: approx. 9 cultivated and 4 yard. Quonset and land are rented out. Some of the most recent updates include the shingles & furnace. Property is located just across from Codette with access off the paved highway, with the benefit of municipal sewer! Water supply is a private sandpoint well. Property is about 10 min to Nipawin, about 12km to Smits Beach, 33 min to Tobin Lake. North East Saskatchewan is known for great fishing and hunting. Come and enjoy the great outdoors! (id:43042)

4 Bedroom 3 Bathroom 2176 sqft
For sale
$67,000
Willow Road Lot A, pike lake provincial park, Saskatchewan

Willow Road Lot A

Pike Lake Provincial Park, Saskatchewan

Plan and build your dream home in the established community of Pike Lake. Just 20 minutes from the City of Saskatoon! This picturesque 1 acre property offers peaceful prairie and maturity to build that home you've always wanted. With utilities of natural gas and power nearby—you can start your planning your new lifestyle in the scenic tranquility that the Pike Lake area has to offer. Begin your new dream with starting with a beautiful lot as your canvas, as you begin picturing your new property on Willow Road. Don't delay, bring your dreams to life and contact your favourite REALTOR® to schedule a visit today! (id:43042)

For sale
$399,900
910 Sunset CRESCENT, good lake rm no. 274, Saskatchewan

910 Sunset Crescent

Good Lake Rm No. 274, Saskatchewan

Life's a BEACH and then you move to the lake! Well, why not Burgis Beach at 910 Sunset Cres. located on two lots that have been conjoined as one. This four season home is waiting for you! The home is ideally located just a few steps away from the beach. It has an amazing lake view from the upper deck where you can enjoy your morning coffee. The home has 3 bedrooms on the 2nd floor. The primary bedroom has a large walk thru closet and another walk in closet. There are large windows and deck doors leading out to a wrap-a-round deck with south and west facing stunning views of the lake and the sunsets. There are 2 other well sized bedrooms with great natural light and built in window treatments. The upper bathroom is a two piece with a toilet and sink. On the main floor you will find an open concept kitchen, dining and living room as well as an enclosed three season room with brand new windows in 2024. You can enjoy your company while you entertain and prepare dinner!. There is a full bathroom on the main floor. There are hardwood floors through the main area, heated tile in the bathroom, back door entrance and mud room area. The laundry room is large and includes a murphy bed for extra guests. The home has CANORA water, wood burning stove for those cozy winter nights and electric heat. With this being a 4 season home there are many things to do such as the large area with firepit, summer boating, swimming, and hiking, winter cross country skiing, snowmobiling and ice fishing. Wondering how the kids get to school, not to worry, the school bus stops in the hamlet! A few other things is there is central vac, hot tub, plenty of parking, local community hall and summer store, a park for the kids, disc golf and two golf courses nearby at Good Spirit Acres and Canora (both 15 min), shopping and grocery in Canora and Yorkton (30 min). This home also includes a boat slip and access to one side of the dock. CLICK ON MOVIE REEL FOR YOU TUBE VIDEO (id:43042)

3 Bedroom 2 Bathroom 1584 sqft
For sale
$409,000
1417 Second STREET, estevan, Saskatchewan

1417 Second Street

Estevan, Saskatchewan

Step into timeless elegance with this beautifully restored 1910 character home, where classic charm meets modern luxury. Completely renovated from top to bottom, with new electrical, plumbing, ducting, drywall and more, this 4-bedroom, 3-bathroom gem is located in a highly desirable central neighborhood—just steps from shops, restaurants, parks, and schools. Inside, you’ll be welcomed by a bright, airy kitchen featuring stainless steel appliances, clean modern finishes, and ample space for cooking and entertaining. The combined living/dining area makes hosting a breeze! The spa-like bathrooms offer a serene retreat, designed with comfort and relaxation in mind. Plus, with 4 spacious bedrooms, there is space for your everyone in your family with room to spare! Every detail has been thoughtfully curated, including a custom wine cellar and wet bar in the finished basement—perfect for hosting or unwinding. Energy-efficient features like a high efficiency furnace, tankless water heater and solar panels help reduce utility costs while keeping your home comfortable year-round. Outside, enjoy a private, fully fenced and landscaped backyard surrounded by mature trees, complete with a patio, underground sprinklers and natural gas BBQ hookup making it perfect for summer dining or quiet mornings. The detached garage is both heated and insulated, offering excellent storage or workshop space. This is more than a home—it's a lifestyle upgrade. Don’t miss the opportunity to own a piece of history with all the benefits of modern living. (id:43042)

4 Bedroom 3 Bathroom 1543 sqft
For sale
$215,000
124 South Railway AVENUE, balcarres, Saskatchewan

124 South Railway Avenue

Balcarres, Saskatchewan

Its a cozy spot on a triple lot-if your after more shop & garage then house this super motivated seller is the location for you! Updates to no end from roofing, windows, doors, flooring, appliances...and did I mention a generac! The mainfloor offers a bountiful amount of natural light, a shared dining & living room view. The on point kitchen keeps business in the rear and the party at the front of this home with stainless steel/black combo appliances and beautiful updated cabinets. A large mainfloor bedroom pairs well with an updated 3 piece bathroom with a custom jet shower set up . Extra space on the mainfloor is extended on the back porch. The basement has a unique set up, but with every ounce of sq ftg used. Under stair storage, updated mechanical and two locations for bedroom space are being used. Another 3 pc basement bath adds extra value to this sweet spot on South Railway Ave. The highlight of this house for the listing agent is the sunroom, decks & hot tub zone! All included and value leveraging for this sweet deal. An updated home, 24x24 garage and 32x24 shop! Concrete floor dual bay heaters just waiting for its next crew to purchase! Don't delay on purchasing/viewing this sweet spot today! (id:43042)

2 Bedroom 2 Bathroom 682 sqft
For sale
$399,900
219 Sovereign CRESCENT, coteau beach, Saskatchewan

219 Sovereign Crescent

Coteau Beach, Saskatchewan

Charming Year-Round Lake Retreat! Welcome to this inviting 1,049 sq ft cabin, built in 2001, designed for comfort & gatherings. Featuring 3 bedrooms & 2 bathrooms, this home offers a spacious open-concept layout with vaulted ceilings in the living room, seamlessly connecting the kitchen and dining areas-perfect for entertaining. In 2021 the main living areas were refreshed with new vinyl flooring and a fresh coat of paint, creating a bright, modern feel. The 2 piece bathroom shares the back mud-room which is accessible from the cabin as well as direct access to back-yard, fire-pit area and bunkhouse! We have a video tour available! Step outside onto the impressive covered deck(approx 700 sq ft!!), complete with durable rubber flooring, massive seating area for everyone and hot tub for pure relaxation! Out back, discover the 235 sq ft, fully furnished bunkhouse, sitting on concrete slab, completely insulated and finished, equipped with baseboard heating & window A/C for added comfort on hot summer days, bar fridge & TV for entertaining on rainy days and after long days in the sun! Underground sprinklers & drip lines keep the yard lush, while the firepit area is ideal for getting together with friends & family on summer & cool nights. This property is being offered mostly furnished so pack your bags, grab some groceries, the kids and the dog and get ready to head to the lake! Seller's also own a lot & 40' X 64' pole shed in nearby Dunblane with workbench and built in shelving that they will sell for an additional cost, a definite bonus for storage for yourself & possibly a neighbor or two! Please inquire! Whether you're looking for a full-time residence, peaceful retreat or a place to make cherished memories with family & friends, this cabin will be the perfect choice! (id:43042)

3 Bedroom 2 Bathroom 1049 sqft
For sale
$99,800
200 Brunswick STREET, pense, Saskatchewan

200 Brunswick Street

Pense, Saskatchewan

Welcome to 200 Brunswick Street in the charming small town of Pense. This home features a lot of character and is ready for someone to take over and bring its full potential to life. Life plans changed for the seller and his lose is your gain! With some sweat equity you can make this house into a beautiful first home or rental property. When you first step inside the front door, you will appreciate the bright open space, amazing stained glass and transom windows. Appliances stay with the home and are "as is". Brand new toilet stays with the home, ready to install. Exterior stucco is in good condition as well as some of the dual windows. The roof features newer shingles and the huge corner lot brings with it a tonne of potential for development with room for a garage. Let your children enjoy the tranquility of a small town while maintaining the convenience of living near the city. 200 Brunswick Street is located a short commute to both Regina (15 mins) & Moose Jaw (20 mins). Pense offers a K-8 school, rink, hotel & bar, gas station & c-store, insurance agency, post office, & other amenities. Located off HWY#1, Pense is on the Buffalo Pound water system & has municipal sewer. Contact your REALTOR® today to schedule a showing. (id:43042)

2 Bedroom 1 Bathroom 940 sqft
For sale
$369,000
1291 Veterans AVENUE, estevan, Saskatchewan

1291 Veterans Avenue

Estevan, Saskatchewan

This very well cared for bi-level home sits on a spacious 0.25-acre lot in the desirable Pleasantdale neighborhood. Owned by the original owner and located on a quiet street, it’s just steps from Rusty Duce playpark and within walking distance of both public and separate elementary schools—making it the perfect family home. The main level features a bright and generous living room with a charming view down the street, an eat-in kitchen with classic walnut cabinetry, and a huge dining room with patio doors leading to the back deck. The current layout includes 2 bedrooms, but it could easily be reconfigured back into 3 bedrooms upstairs, with additional potential for at least one more bedroom in the basement. The home includes a 2-piece ensuite off the primary bedroom, a full main bathroom upstairs, 3-piece bathroom in the basement, and main floor laundry for added convenience. The 1984 lower level offers a spacious family room and direct access to the attached 28’ x 28’ garage with a large driveway—ideal for families with multiple vehicles or hobbyists needing extra space. Outside, enjoy a beautifully landscaped yard with mature trees, a garden area, perennials, a patio, and ample space for a fire pit, play structure, or trampoline. The exterior is built to last, featuring a metal roof and well-maintained siding in excellent condition. This is a rare opportunity to own a solid, spacious home in a sought-after neighborhood. Come see the potential and make it your own! (id:43042)

2 Bedroom 3 Bathroom 1282 sqft
For sale
$950,000
1520 8th AVENUE, humboldt, Saskatchewan

1520 8th Avenue

Humboldt, Saskatchewan

**Prime Commercial Real Estate Opportunity in the Heart of Humboldt ** 1520 8th avenue Humboldt .Situated at the bustling corner of a stop light intersection on Highway #5, this property enjoys significant exposure & accessibility. ** Key Features: **Location**: Centrally located in Humboldt, at a major stop light intersection on Highway #5, ensuring constant flow of potential customers. **Food Court Alley**: Positioned in the heart of Humboldt’s renowned Food Court Alley, a popular destination for locals and visitors alike. **Kemway Lanes**: The property features Kemway Lanes, a thriving bowling alley complete with 8 lanes and computer scoring. **Dining and Entertainment**: The bowling alley is complemented by a licensed dining restaurant & an ice cream shop, providing diverse entertainment & dining options under one roof. **Kitchen Facilities**: Includes a fully-equipped kitchen with fryer cooking capabilities, supporting a wide range of culinary operations. **Highway Frontage**: Boasts 117 feet of prime highway frontage, maximizing visibility & accessibility for your business.** Business Potential: ** Don’t Miss Out! This is a rare opportunity to own a versatile commercial property in one of Humboldt's most coveted locations. Whether you’re looking to expand your business or start a new venture, this property offers the perfect combination of location, facilities, and potential. (id:43042)

8248 sqft
For sale
$59,000
324 Kittel AVENUE, orkney rm no. 244, Saskatchewan

324 Kittel Avenue

Orkney Rm No. 244, Saskatchewan

Just minutes from Yorkton Pleasant Heights Sub Division is the perfect opportunity to build your forever home. 324 Kittel Avenue is huge with plenty of opportunity to create your dream home and your dream yard. Close to Deer Park Golf Course and cross country ski trails and minutes from all Yorkton has to offer! Let's talk possibilities!! (id:43042)

For sale
$279,900
402 3363 Green Poppy STREET, regina, Saskatchewan

402 3363 Green Poppy Street

Regina, Saskatchewan

2 BED, 2 BATH TOWNHOUSE CONDO WITH ATTACHED GARAGE. Welcome to Green Poppy Street. Enter this 3 storey townhouse to a generous foyer with direct entry into fully insulated garage. There is tons of room in front of car and storage room off to the side. Up the stairs to an open kitchen and living area with trayed ceilings, pot lights and access to the full width deck. The kitchen offers dark cabinetry, quartz counters (and main bath vanity), stainless steel appliances including and over the range microwave. Up to the third level with two good size bedrooms featuring a principle with walk in closet an direct entry into the main bath. Other value added items are a tanlkless water heater and a high efficient furnace. This property has been nicely maintained and is close to bus routes, shops, parks and one block from École St. Elizabeth Catholic French Immersion and École Wascana Plains Public French Immersion elementary schools. Please contact you Realtor for more information or personal tour. (id:43042)

2 Bedroom 2 Bathroom 1000 sqft
For sale
$224,900
3632 Schitka Beach DRIVE, wakaw lake, Saskatchewan

3632 Schitka Beach Drive

Wakaw Lake, Saskatchewan

Charming Lakefront Cabin at Schitka Beach, Wakaw Lake. Escape to this cozy 3-season lakefront cabin nestled among the trees at Schitka Beach, Wakaw Lake. Offering the perfect blend of rustic charm and modern comfort, this 2-bedroom, 1 bath retreat is ideal for weekend getaways or a peaceful seasonal residence. The cabin features electric heat and a wood stove to keep you warm on cooler nights. Step outside to enjoy the expansive wrap-around deck with wheelchair access, perfect for relaxing or entertaining while taking in serene lake views. Additional features include: 1,000-gallon water tank, septic tank, newer pressure pump and tank, private dock included. With immediate possession available, this cabin is move-in ready. Whether you're looking to enjoy summer days on the lake or quiet evenings by the fire, this Wakaw Lake gem is ready to welcome you. (id:43042)

2 Bedroom 1 Bathroom 640 sqft
For sale
$580,000
Lakeside Acres - RM of Saltcoats, saltcoats rm no. 213, Saskatchewan

Lakeside Acres - Rm Of Saltcoats

Saltcoats Rm No. 213, Saskatchewan

If you’re an outdoor enthusiast who dreams of acreage life without sacrificing town conveniences, Lakeside Acres will capture your imagination—and your heart. This one-of-a-kind property is the result of years of thoughtful design, each tree planted, brick laid, and timber chosen with an artist’s eye. The result? A yard that tells a story with every turn, every detail, every lovingly placed stone. What began as a humble prairie home has been transformed into a sprawling bungalow (built in 1998), blending craftsmanship and comfort. Solid wood doors and casings, hand-laid tile, warm hardwood floors, and a natural gas in-floor boiler heating system provide the foundation for a space that is both practical and beautiful. History lovers will appreciate the nods to the past woven throughout: hand-milled doors and transoms salvaged from the old Saltcoats school, original brickwork, vintage light fixtures, and even classic bar stools from nearby heritage schools—each element chosen with purpose and care. The kitchen looks straight out of a country living magazine, featuring a gleaming butcher block island, concrete countertops, stainless appliances, gas range, and a farmhouse sink. The four-season room might just be your favourite spot, with its stamped concrete floors, natural gas fireplace, and panoramic views that invite you to linger a little longer. Step out from the primary bedroom and greet Anderson Lake each morning—a view that never gets old. And then there's the outbuildings: a large cold storage garage, perfect for multiple vehicles or workshop space; a lean-to for all your tools and gear; and the pièce de résistance—an enchanting red “she shed” barn with its own deck, roughed-in in-floor heat, and a cozy finished guest space. Welcome to Lakeside Acres. A home as storied and soulful as you are. (id:43042)

3 Bedroom 2 Bathroom 2195 sqft
For sale
$379,900
210 E AVENUE N, saskatoon, Saskatchewan

210 E Avenue N

Saskatoon, Saskatchewan

Welcome to 210 Avenue E North, a fully renovated 2-storey home in the heart of Caswell Hill, offering 1,495 sqft of updated living space with 4 bedrooms upstairs, a main floor den, and 2 full bathrooms. This home has been completely transformed from top to bottom, featuring new windows, upgraded plumbing and electrical, new shingles, water heater, front and back decks, light fixtures, flooring, high-gloss kitchen cabinets, quartz countertops, porcelain-tiled bathrooms, new vanities, and fresh paint with modern baseboards throughout. The Sellers will build the garage, complete the landscaping, fence the yard, do the exterior paint to the house and pour a concrete walkway to garage. The unfinished basement provides excellent storage or future development potential. Currently tenant-occupied, this is a turn-key investment or a fantastic option for a family looking to settle in a neighborhood on the rise. Steps from Night Oven Bakery, Grip It Climbing Gym, the Caswell Bus Barn redevelopment, and the upcoming Downtown Event Centre, this location is packed with future potential. (id:43042)

4 Bedroom 2 Bathroom 1495 sqft
For sale
$299,900
E 2 Lincoln DRIVE, regina, Saskatchewan

E 2 Lincoln Drive

Regina, Saskatchewan

Stunning 3 story Condo located in desirable Albert Park South, located just right next to the Southland mall and 1 block from all amenities. Highly rated elementary schools are only 5-min walking away. The location gives it both the convenience of being close to amenities and shopping, and the safety and tranquility of being away from the main streets. You cannot beat its location! This spacious condo has an attached, heated, single car garage, with a Balcony in the front and a large deck at the back. The 1st floor has direct access to the garage with a Rec room and a large Utility/Laundry room, with a lot of extra storage. The 2nd floor (main floor) has a gorgeous open to below huge dining/common area with a massive chandelier giving it that wow factor. The living room is spacious with a gas fireplace, patio doors and the balcony. The kitchen has an abundance of cabinets with stainless steel appliances and a secondary dining area. Off from the secondary dining area are patio doors that lead to the backyard deck. The main floor also has a convenient 2-piece bath for guests. The 3rd floor holds a great master bedroom retreat that has a walk in closet and another 2-piece ensuite. Two more spacious secondary bedrooms and a 4-piece bath make up the 3rd floor. This home has 3 beds, 3 bathrooms, Rec room, living room, common/dining area, kitchen, another dining area, balcony and deck. Added values are newer, owned water heater, furnace, and AC unit. The garage is fully insulated/heated. Included with the condo fee are: water, sewer, maintenance, insurance, funds, etc. Pets are allowed with board approval. This home will not disappoint - contact the sales person for more info. (id:43042)

3 Bedroom 3 Bathroom 1393 sqft
For sale
$1,450,000
155 Grandview TRAIL, corman park rm no. 344, Saskatchewan

155 Grandview Trail

Corman Park Rm No. 344, Saskatchewan

Dream home! 155 Grandview Trail, Grasswood Estates – Impeccable Walkout Acreage Living. This stunning 2.25-acre property offers the perfect blend of luxury, function, and natural beauty. The 1,747 sq. ft. walkout bungalow is masterfully designed and loaded with high-end features, inside and out. The main level showcases an open-concept living space with soaring vaulted ceilings and a dramatic floor-to-ceiling stone hearth crafted from real BC stone. The chef’s kitchen is a showstopper, complete with custom cabinetry, a gas cooktop, exquisite maple range hood, open shelving, tiled backsplash, and an oversized island featuring standout millwork. A butler’s pantry adds convenience with its second dishwasher, microwave, fridge, sink, and abundant storage. The dining area opens onto a covered deck that’s perfect for entertaining or relaxing. The main floor office features a coffered ceiling for added charm, while the primary suite is a true retreat—tray ceilings, a large walk-in closet, and a luxurious 5-piece ensuite with soaker tub, walk-in shower, and double vanities. A second bedroom with stylish shiplap detail and another 4-piece bath complete the main level. There’s also a spacious mudroom with custom built-ins, connecting to the oversized, heated triple garage. The fully developed walkout basement offers even more room to relax and entertain. Enjoy a spacious family room with fireplace, separate games room, guest powder room, and two generous bedrooms—each with walk-in closets and private 4-piece ensuites. A large laundry room and utility space ensure functionality without sacrificing style.Outside, this property shines with a fully landscaped yard, vegetable garden, its own well, RV parking, and a tranquil private pond with a fountain. A detached heated double garage with 13’ ceilings adds more space for toys or a workshop. This home is the full package—luxury, privacy, and nature, all minutes from the city. Must be seen to be appreciated. (id:43042)

4 Bedroom 5 Bathroom 1747 sqft
Interested?
Your Favourites

 

No Favourites Found